Тропический ураган Пэм в Тихом океане достиг пятой категории

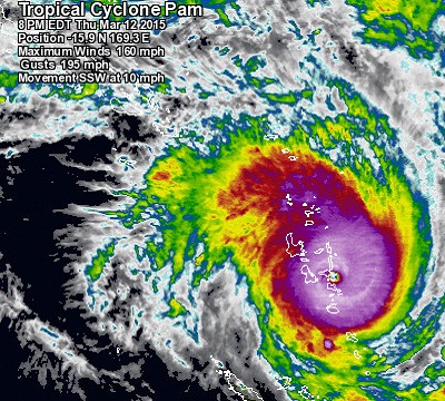
Мощный тропический циклон Пэм в Тихом океане, находящийся рядом с островным государством Вануату, достиг пятой категории. Это один из самых сильных тропических циклонов из когда-либо наблюдавшихся в водах Тихого океана к востоку от Австралии. Пэм быстро усиливался в течение последних двух дней, скорость ветра в центре в четверг достигла 70 м/с. Это всего лишь десятый ураган 5-ой категории, зарегистрированный в этом регионе, начиная с 1970 года, когда начались спутниковые наблюдения. Метеорологической службой Фиджи подсчитано, что в четверг 14 часов давление в центре упало до 918 гПа.
Пэм, вероятно, будет одним из самых разрушительных стихийных бедствий в истории Вануату. Ураган, скорее всего, пройдет над или очень близко к трем небольшим южным островам Вануату в пятницу, и эти острова может ждать полное опустошение в случае проход через них центра циклона. Этими островами являются Эроманга (население 2000), Танна (29000) и Aneiytum (поп 900). Прогон европейской модели за 12Z четверга показывает прямое попадание на более северный остров Эфате, наиболее густонаселенный остров в Вануату (66 000), где находится столица Порт-Вила.
Даже если острова избегут прямого попадания зоны урагана с ветрами 4-ой и 5-ой категории, ветры ураганной силы будут простираться до 60 километров от центра, и, вероятно, приведут к большому ущербу всем этим островам. Волны нанесут значительный ущерб побережью. Высота волн в урагане уже достигает 10-12 метров. Вызывают озабоченность штормовой нагон воды, а также проливные дожди, которые вызовут паводки. После прохождения Вануату, Пэм, вероятно, значительно ослабнет, но циклон еще может быть способен добраться со штормовыми ветрами до Новой Зеландии к воскресенью.

У них там острова на уровне воды!